Sprzedam
Biały Dunajec Pokaż na mapie ›
Ogłoszenie archiwalne Wygasło: Sobota, 07 Czerwiec, 2025 08:56
60 000 zł
Szczegóły ogłoszenia
- Kategoria: Konie
- Cena: 60 000 zł
Opis oferty
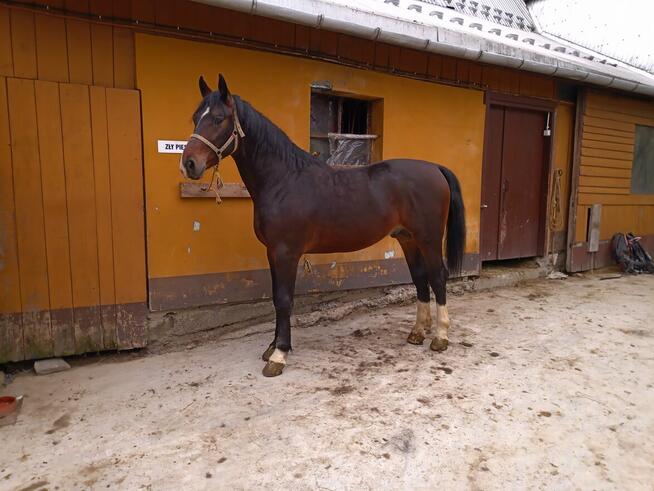
Sprzedam konie wałachy śląskie jeden 4 lata 168 wzrostu chłopak chodzi w zaprzęgu para pojedynek oraz teraz na 4 roku rozpoczął naukę z siodłem pżyją je oraz człowieka. Drugi 3 lata 172 wzrostu chodzi para pojedynek. Chłopaki obyte z ruchem ulicznym nie boją się samochodów. Sprzedaż razem bać osobno cena do negocjacji. Na wszelkie pytania udzielę odpowiedzi telefonicznie. 698 - pokaż numer telefonu -Powiadom o podobnych ogłoszeniach
Lokalizacja: Biały Dunajec w promieniu 50 km
Kategoria: Zwierzęta » Konie
Chcę otrzymywać powiadomienia o nowych ofertach
Bartłomiej Świder
Konto prywatne
Na Lento.pl od 09 mar 2025
Strona użytkownika
- Wypromuj ogłoszenie
- Zgłoś naruszenie
- Edytuj/usuń ogłoszenie
- Udostępnij ogłoszenie
- Dodaj na Facebook



